


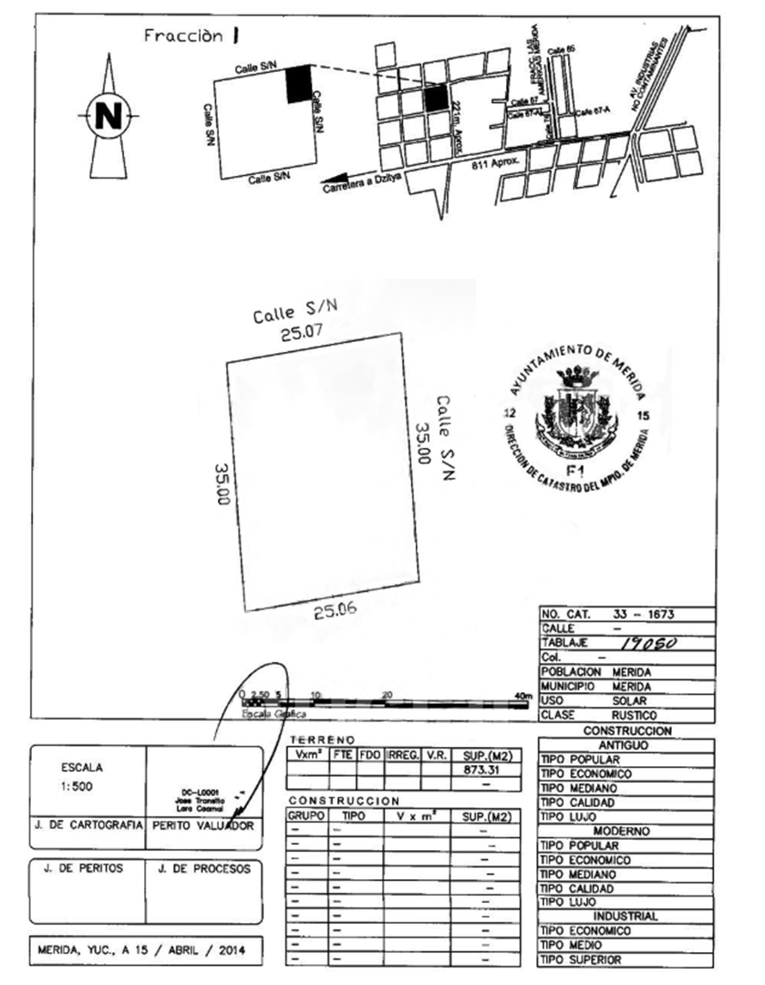
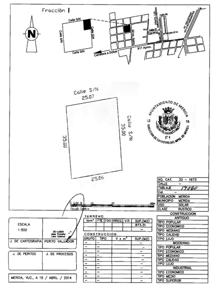
Terreno Dzitya
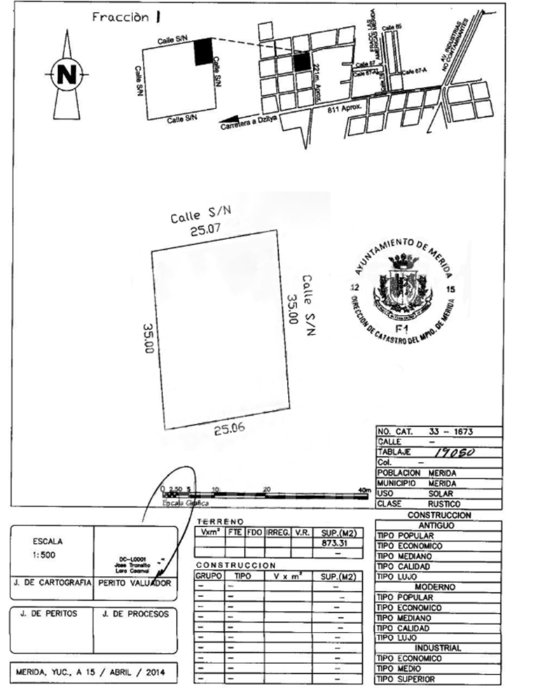
¡Oportunidad única de inversión en Dzitya, al norte de Mérida! Este espectacular terreno en esquina de 873.31 m², con medidas de 25 x 35 metros y orientación norte-sur, está ubicado en una zona residencial privilegiada. Cercanía de escuelas, centros comerciales y con múltiples accesos vehiculares, ofrece comodidad y excelente conectividad. Cuenta con servicios de agua potable por la Japay y luz eléctrica en la calle, además de calle pavimentada para un fácil acceso. A solo 3 minutos de Plaza Akropolis, es ideal para desarrollar un proyecto habitacional, o para construir la casa de tus sueños. La perfecta ubicación, infraestructura y potencial hacen de este terreno una inversión sólida y segura.
No pierdas la oportunidad de adquirir un bien en una de las zonas de mayor crecimiento.


Ubicación: Dzitya, Mérida, Yucatán
Superficie: 873.31 m2
Dimensiones: 25 x 35 mts.
Inversión x m2: $3,566.88 mxn
Inversión total: $3,115,000.00 mxn


Características:
Negociación directa.
Excelente esquina con gran potencial para desarrollo, ideal para mayor accesibilidad y visibilidad.
Orientación Norte - Sur para aprovechar optima ventilación.
Luz subterránea al frente del terreno.
Servicio de agua potable de la JAPAY disponible frente al terreno.
Frente a calle completamente pavimentada.
Zona estratégica y de alta plusvalía, ideal para desarrollo habitacional.
Coordinación para entrega final conforme a proyecto ejecutivo.
Tu próximo proyecto empieza aquí








Haz crecer tu patrimonio desde el lugar correcto.
No dejes pasar la oportunidad de adquirir un terreno con excelente ubicación y alto potencial de crecimiento. Contáctanos hoy mismo para recibir más información, agendar una visita o iniciar el proceso de compra. Este puede ser el primer paso para construir tu patrimonio con visión y certeza.
La información contenida en este anuncio proviene de fuentes confiables; sin embargo, puede estar sujeta a errores, omisiones y cambios en disponibilidad, precio u otras condiciones sin previo aviso por parte del proveedor.
Los precios publicados en esta ficha son de referencia, no constituyen una oferta vinculante y pueden ser modificados por el propietario en cualquier momento y sin previo aviso.
Asimismo, los precios aquí publicados no incluyen cantidades generadas por la contratación de créditos hipotecarios, ni tampoco gastos, derechos e impuestos notariales, los cuales se determinarán en función de los montos variables de conceptos crediticios, aranceles notariales y legislación fiscal aplicable.
El precio de venta no incluye gastos de escrituración ni avalúo.
